![]() |
|
| 資料編號: | HK-1223 |
|---|---|
| 中文名稱: | 枸骨 |
| 學名: | Ilex cornuta [找同屬植物] |
| 植物科名: (APG新系統) | AQUIFOLIACEAE冬青科 [找同科植物] |
| 標室舊系統 | AQUIFOLIACEAE冬青科[找同科] |
| 生長習性: | 灌木_小喬木 |
| 原生/外來: | 外來植物 |
| 圖片花色: | white |
| 發現開花: | Feb |
| 特別特徵: | 葉互生 |
| 圖片果色: | red |
| 資料更新: | 20221218 08:34:52 pm |
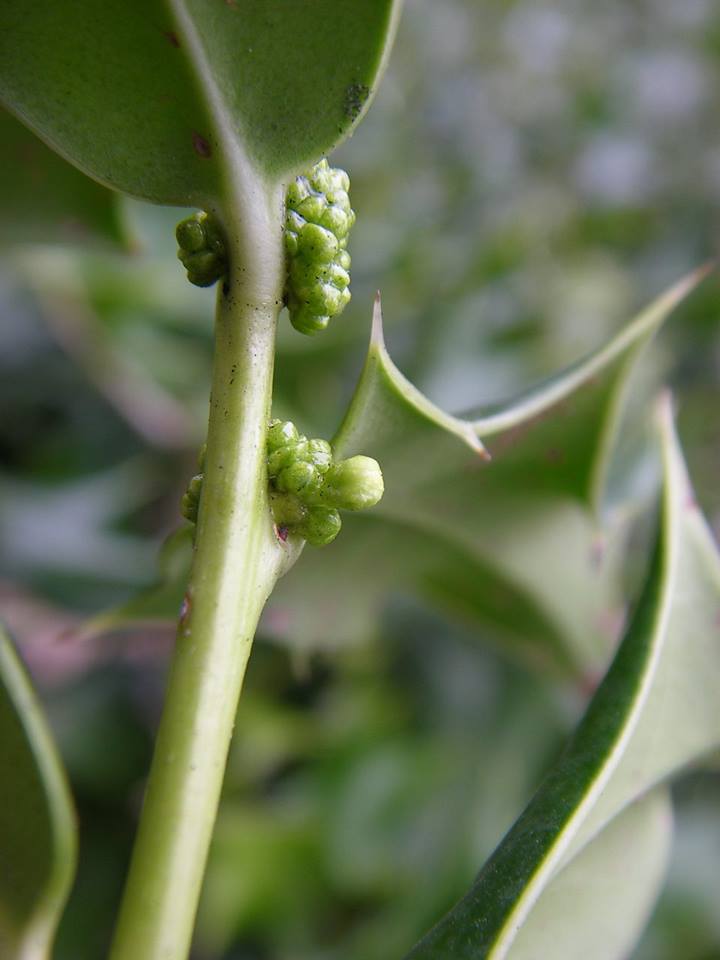
| 備註: Fruit taken from United Kingdom FoHK Evergreen shrub or small tree, 1–3 m high; branchlets stout, subterete, minutely puberulent or glabrescent. Leaves thick-leathery; petioles 4–8 mm, puberulent; leaf blade quadrangular-oblong, rarely ovate, 5–6 × 2.5–3 cm, base rounded or sub-truncate; apex acute or shortly acuminate, always with 3 spines; margin entire or sinuate, with 1–3 spines on each side, dark green and shining adaxially, paler abaxially. Inflorescences fasciculate, sessile, axillary, on second year’s growth, branches of the fascicles uniflowered; flowers 4-merous. Staminate pedicels 5–6 mm long; calyx patelliform, 2.5 mm across, sparsely puberulent, ciliate; corolla rotate, 7 mm across, petals connate at base; stamens subequaling the petals, anthers ovoid-oblong; rudimentary ovary subglobose. Pistillate pedicels 8 – 9 mm long, after fruiting 13– 14 mm long; calyx patelliform, lobes obtuse, ciliate; corolla rotate, 7 mm across, petals sparsely ciliate; staminodes short; ovary oblong-ovoid, stigma discoid. Fruit globose 8–10 mm in diam., stigma discoid. Pyrenes 4, 7–8 × 5 mm, wrinkled-pitted, rugose all over. 中國植物誌 常綠灌木或小喬木,高(0.6-)1-3米;幼枝具縱脊及溝,溝內被微柔毛或變無毛,二年枝褐色,三年生枝灰白色,具縱裂縫及隆起的葉痕,無皮孔。葉片厚革質,二型,四角狀長圓形或卵形,長4-9厘米,寬2-4厘米,先端具3枚尖硬刺齒,中央刺齒常反曲,基部圓形或近截形,兩側各具1-2刺齒,有時全緣(此情況常出現在卵形葉),葉面深綠色,具光澤,背淡綠色,無光澤,兩面無毛,主脈在上面凹下,背面隆起,側脈5或6對,於葉緣附近網結,在葉面不明顯,在背面凸起,網狀脈兩面不明顯;葉柄長4-8毫米,上面具狹溝,被微柔毛;托葉胼胝質,寬三角形。花序簇生於二年生枝的葉腋內,基部宿存鱗片近圓形,被柔毛,具緣毛;苞片卵形,先端鈍或具短尖頭,被短柔毛和緣毛;花淡黃色, 4基數。雄花;花梗長5-6毫米,無毛,基部具1-2枚闊三角形的小苞片;花萼盤狀;直徑約2.5毫米,裂片膜質,闊三角形,長約0.7毫米,寬約1.5毫米,疏被微柔毛,具緣毛;花冠輻狀,直徑約7毫米,花瓣長圓狀卵形,長3-4毫米,反折,基部合生;雄蕊與花瓣近等長或稍長,花藥長圓狀卵形,長約1毫米;退化子房近球形,先端鈍或圓形,不明顯的4裂。雌花:花梗長8-9毫米,果期長達13-14毫米,無毛,基部具2枚小的闊三角形苞片;花萼與花瓣像雄花;退化雄蕊長為花瓣的4/5,略長於子房,敗育花藥卵狀箭頭形;子房長圓狀卵球形,長3-4毫米,直徑2毫米,柱頭盤狀,4淺裂。果球形,直徑8-10毫米,成熟時鮮紅色,基部具四角形宿存花萼,頂端宿存柱頭盤狀,明顯4裂;果梗長8-14毫米。分核4,輪廓倒卵形或橢圓形,長7-8毫米,背部寬約5毫米,遍布皺紋和皺紋狀紋孔,背部中央具1縱溝,內果皮骨質。花期4-5月,果期10-12月。 本種之樹形美麗,果實秋冬紅色,掛於枝頭,與歐洲之聖誕樹Ilex aquifolium L. 可以媲美並代替供庭園觀賞。 | |
| 如資料有任何錯誤,歡迎聯絡本會. info@hkcww.org | |
24-1223x | |
23-1223w | |
22-1223v | |
21-1223u | |
20-1223t | |
19-1223s | |
18-1223r | |
17-1223q | |
16-1223p | |
15-1223o | |
14-1223n | |
13-1223m | |
12-1223l | |
11-1223k | |
10-1223j | |
9-1223i | |
8-1223h | |
7-1223g | |
6-1223f | |
5-1223e | |
4-1223d | |
3-1223c | |
2-1223b | |
1-1223a | |