![]() |
|
| 資料編號: | HK-2262 |
|---|---|
| 中文名稱: | 胡蘿蔔 |
| 中文別名: | 金筍 |
| 學名: | Daucus carota var. sativa [找同屬植物] |
| 英文名稱: | Carrot |
| 植物科名: (APG新系統) | APIACEAE傘形科 [找同科植物] |
| 標室舊系統 | APIACEAE傘形科[找同科] |
| 生長習性: | 草本 |
| 原生/外來: | 外來植物 |
| 圖片花色: | white |
| 資料更新: | 20220721 04:23:04 pm |
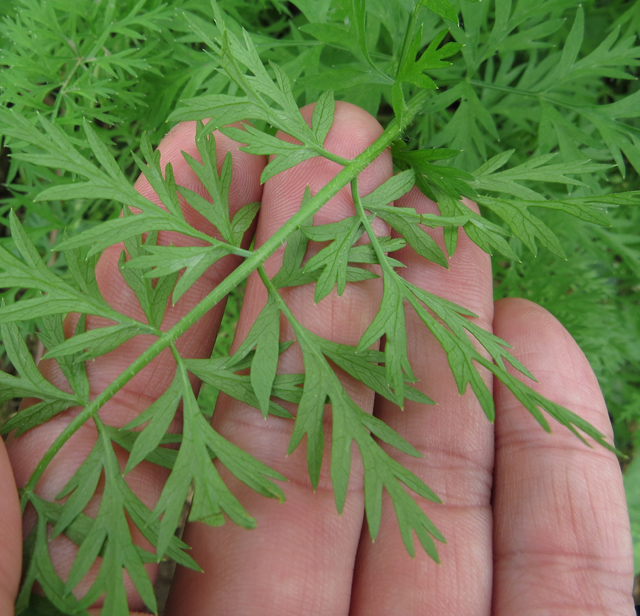
| 備註: 2015.3.18 中國植物誌: 野胡蘿蔔Daucus carota 二年生草本,高15-120厘米。莖單生,全體有白色粗硬毛。基生葉薄膜質,長圓形,二至三回羽狀全裂,末回裂片線形或披針形,長2-15毫米,寬0.5-4毫米,頂端尖銳,有小尖頭,光滑或有糙硬毛;葉柄長3-12厘米;莖生葉近無柄,有葉鞘,末回裂片小或細長。 复繖形花序,花序梗長10-55厘米,有糙硬毛;總苞有多數苞片,呈葉狀,羽狀分裂,少有不裂的,裂片線形,長3-30毫米;傘輻多數,長2-7.5厘米,結果時外緣的傘輻向內彎曲;小總苞片5-7,線形,不分裂或2-3裂,邊緣膜質,具纖毛;花通常白色,有時帶淡紅色;花柄不等長,長3-10毫米。果實圓卵形,長3-4毫米,寬2毫米,棱上有白色刺毛。花期5-7月。 胡蘿蔔Daucus carota var. sativa 本變種與原變種區別在於根肉質,長圓錐形,粗肥,呈紅色或黃色。 | |
| 如資料有任何錯誤,歡迎聯絡本會. info@hkcww.org | |
6-2262f | |
5-2262e | |
4-2262d | |
3-2262c | |
2-2262b | |
1-2262a | |