Top
柴娃娃植物網
關於我們
聯絡我們
進階搜索
免責聲明
其他資料庫
☰
資料編號:
HK-4042
中文名稱:
竊衣屬(標室沒收錄-境外攝)
學名:
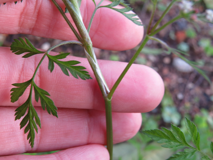
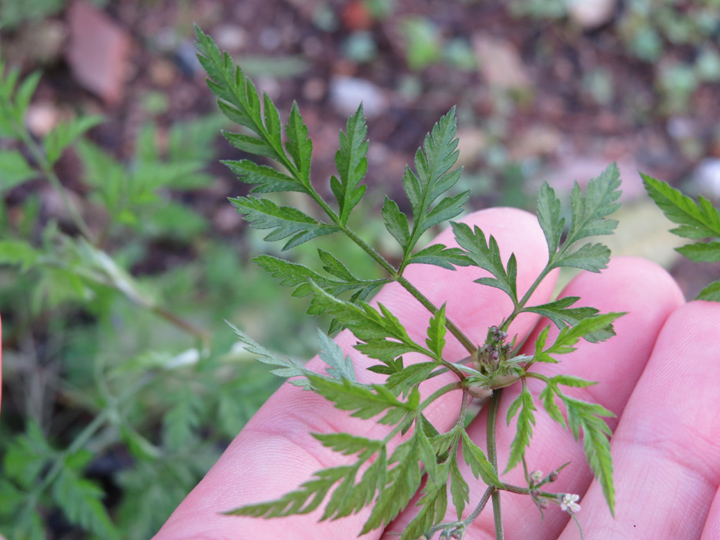
Torilis sp.
[找同屬植物]
植物科名:
(
APG新系統
)
APIACEAE傘形科
[找同科植物]
標室舊系統
APIACEAE傘形科
[找同科]
生長習性:
草本
原生/外來:
外來植物
圖片花色:
white
資料更新:
20220721 04:29:34 pm
備註
:
2016粵北南嶺攝
中國植物誌
總苞片3-6,傘輻4-12,果實圓卵形,長1.5-4毫米,寬1.5-2.5毫米。
小竊衣
總苞片通常無,很少有1線形的苞片,傘輻2-4;果實長圓形,長4-7毫米,寬2-3毫米。
竊衣
如資料有任何錯誤,歡迎聯絡本會. info@hkcww.org
進階搜索
4-4042d
3-4042c
2-4042b
1-4042a